久留米市大善寺町 売り土地

850万円~1,390万円

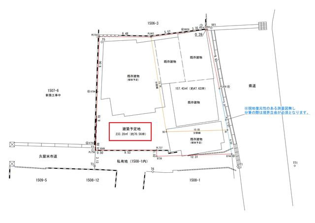
福岡県久留米市大善寺町宮本1503

西鉄大牟田線「大善寺」駅徒歩8分

西鉄大牟田線「三潴」駅徒歩29分

価格
850万円~1,390万円
土地面積(坪数)
196.00㎡~285.48㎡(59.29坪~86.35坪)
所在地
福岡県久留米市大善寺町宮本1503
築年
-(-)
駐車
-
交通

西鉄大牟田線大善寺」駅 徒歩8分

西鉄大牟田線三潴」駅 徒歩29分

久留米市大善寺町 売り土地の基本情報

物件名
久留米市大善寺町 売り土地
価格
850万円~1,390万円
土地面積
196.00㎡~285.48㎡
築年月
-(-)
総区画数
-
所在地
福岡県久留米市大善寺町宮本1503
交通

西鉄大牟田線大善寺」駅 徒歩8分

西鉄大牟田線三潴」駅 徒歩29分

久留米市大善寺町 売り土地の詳細情報

設備条件
設備(その他)
    -
駐車場/月額
-/-
土地権利
所有権
国土法届出
不要
用途地域
商業
区画数
- / -
管理形態
-
管理員の勤務形態
-
管理会社
-
取引態様
一般媒介
引渡し
相談
開発許可番号
-

久留米市大善寺町 売り土地で募集中の物件

  1. 59.28坪 (196.00㎡)

    850万円(14.34万円/坪)

  2. 会員限定

    会員限定 (会員限定)

    会員限定(会員限定/坪)

  3. 会員限定

    会員限定 (会員限定)

    会員限定(会員限定/坪)

  4. 86.35坪 (285.48㎡)

    1,390万円(16.1万円/坪)

  5. 会員限定

    会員限定 (会員限定)

    会員限定(会員限定/坪)

周辺施設

  • 久留米市立大善寺小学校の画像

    小学校

    久留米市立大善寺小学校

    773m(10分)

  • 久留米市立筑邦西中学校の画像

    中学校

    久留米市立筑邦西中学校

    1786m(23分)

近隣の物件

  1. 久留米市国分町

    - (297.90㎡)

    1,080万円

  2. 久留米市高良内町

    - (237.49㎡)

    1,077万円

  3. 久留米市高良内町

    - (353.27㎡)

    1,443万円

  4. 久留米市小森野3丁目

    - (107.50㎡)

    640万円

よく見られている物件

  1. 小郡市福童

    - (241.00㎡)

    1,7926,160

  2. 久留米市荒木町荒木

    - (232.61㎡)

    1,1258,000

  3. 小郡市三沢

    - (255.69㎡)

    1,998万円

  4. 久留米市御井町

    - (471.70㎡)

    1,141万円

久留米市大善寺町 売り土地

お気軽にお問い合わせください

無料お問い合わせ

ひびよし不動産

080-9285-8712

11:00~17:00

(休:不定休)

相談予約 物件検索 ログイン