小郡市松崎 売り土地

800万円

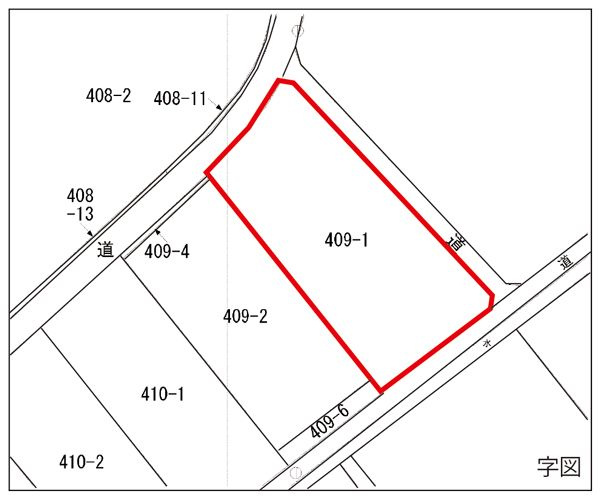
福岡県小郡市松崎409-1

甘木鉄道「松崎」駅徒歩11分

価格
800万円
土地面積(坪数)
484.00㎡(146.41坪)
所在地
福岡県小郡市松崎409-1
築年
-(-)
駐車
-
交通

甘木鉄道松崎」駅 徒歩11分

小郡市松崎 売り土地の基本情報

物件名
小郡市松崎 売り土地
価格
800万円
土地面積
484.00㎡
築年月
-(-)
総区画数
-
所在地
福岡県小郡市松崎409-1
交通

甘木鉄道松崎」駅 徒歩11分

小郡市松崎 売り土地の詳細情報

設備条件
設備(その他)
    -
駐車場/月額
-/-
土地権利
所有権
国土法届出
不要
用途地域
無指定
区画数
- / -
管理形態
-
管理員の勤務形態
-
管理会社
-
取引態様
一般媒介
引渡し
相談
開発許可番号
-

小郡市松崎 売り土地で募集中の物件

  1. 146.40坪 (484.00㎡)

    800万円(5.46万円/坪)

  2. 会員限定

    会員限定 (会員限定)

    会員限定(会員限定/坪)

  3. 会員限定

    会員限定 (会員限定)

    会員限定(会員限定/坪)

近隣の物件

  1. 小郡市八坂

    - (371.00㎡)

    800万円

  2. 小郡市松崎

    - (416.00㎡)

    800万円

  3. 小郡市稲吉

    - (272.85㎡)

    1,072万円

  4. 小郡市山隈

    - (183.55㎡)

    660万円

よく見られている物件

  1. 小郡市福童

    - (241.00㎡)

    1,7926,160

  2. 小郡市三沢

    - (255.69㎡)

    1,998万円

  3. 久留米市御井町

    - (471.70㎡)

    1,141万円

  4. 久留米市荒木町荒木

    - (232.61㎡)

    1,1258,000

小郡市松崎 売り土地

お気軽にお問い合わせください

無料お問い合わせ

ひびよし不動産

080-9285-8712

11:00~17:00

(休:不定休)

相談予約 物件検索 ログイン